Perceel Eigendom
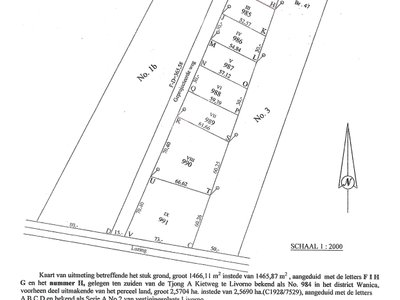
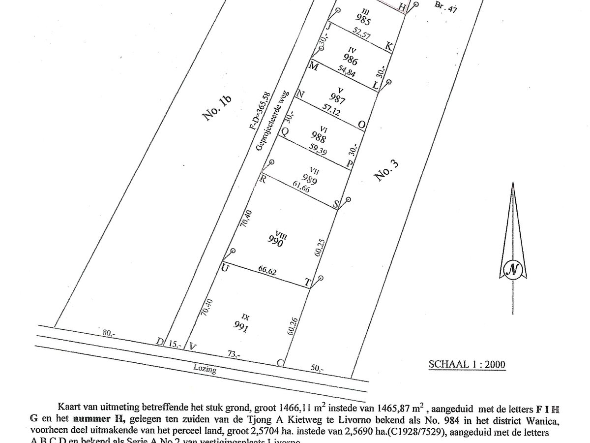
Eigendom, Groot Blijdenshoopweg ca 2000 m2. Geheel omrasterd met steen, opgehoogd. Langs asfaltweg, 400 m van Indra Gandhiweg
📍 Blijdenshoopweg, Paramaribo
👁️ 11 views
Beschrijving
Eigendom, Groot Blijdenshoopweg ca 2000 m2. Geheel omrasterd met steen, opgehoogd. Langs asfaltweg, 400 m van Indra Gandhiweg. Vraagprijs € 175.000,=.
Specificaties
- Oppervlakte:
- 2.000 m²
- Type:
- Eigendom
- Categorie:
- Perceel
- Prijs per m²:
- € 88
- Gepubliceerd:
- 14 januari 2026
Kenmerken
- Geasfalteerde weg



