Perceel huur
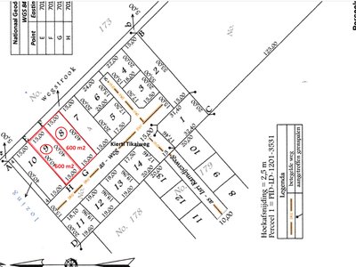
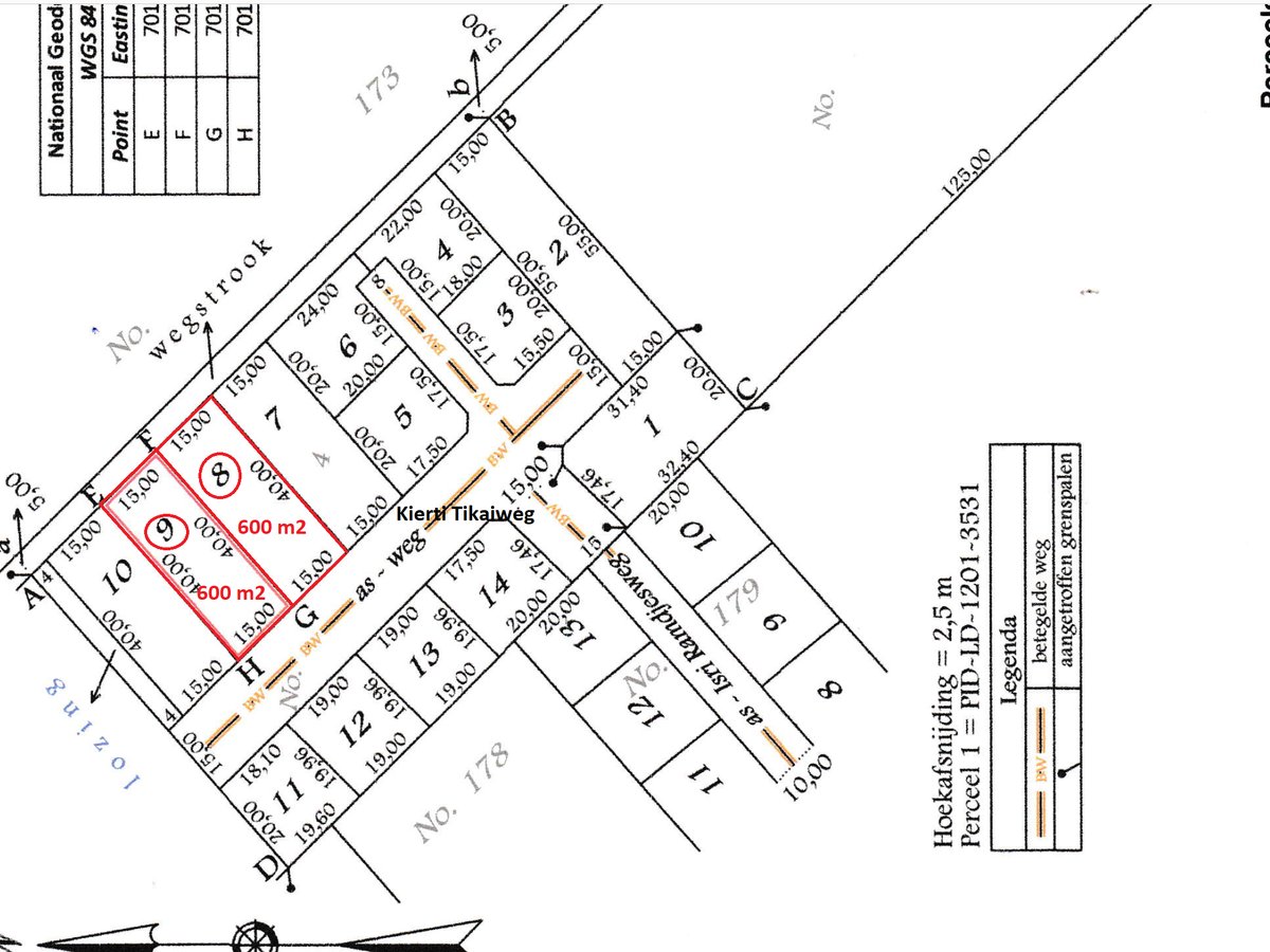
Grondhuur, 1466 m2, Tjong A Kietweg te Livorno. In een zijstraat 2e perceel (30x48m). Zeer goed gelegen, dichtbij winkels, bar, bakkerij, onsbelang,
📍 Kietweg, Paramaribo
👁️ 14 views
Beschrijving
Grondhuur, 1466 m2, Tjong A Kietweg te Livorno. In een zijstraat 2e perceel (30x48m). Zeer goed gelegen, dichtbij winkels, bar, bakkerij, onsbelang, warung etc. Vraagprijs €49.500,=.
Specificaties
- Oppervlakte:
- 1.466 m²
- Type:
- huur
- Categorie:
- Perceel
- Prijs per m²:
- € 34
- Gepubliceerd:
- 14 januari 2026



